Skip to content

898-896 12th Street, Hammonton, NJ, 08037

$880,000

0

Beds

Bathrooms

0

Building Sqft

0.00

Acres

21,344

Lot Sqft

About 898-896 12th Street

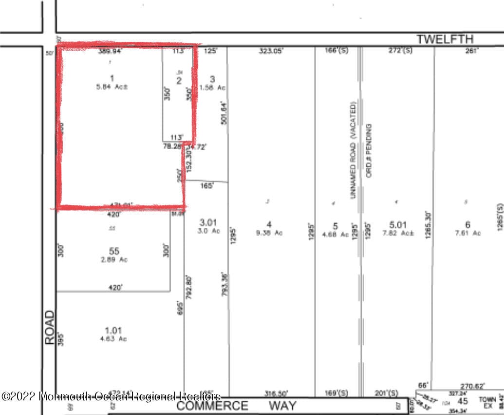
HIGH TRAFFIC CORNER W/ (2) Parcels Of land FOR SALE! 896 12th St. (Lot 2/Block 1201) & 898 12th St.(Lot 1/Block 1201. Zoned H-B (Highway Business) COMBINED LAND TOTALS 6.748 ACRES! The uses are permitted but not limited to are grocery stores, meat markets, supermarkets, delicatessens, bakeries, liquor stores, pet shops, stationary stores, fabric stores, florist & jewelry stores but excluding automobile sales. 2.Local service activities including but not limited to barber/beauty shops, tailors, photographer studios, retail dry-cleaning & laundering operations, appliance repair shops, shoe repair shops, upholsterers, newspaper & or job print shops and customer service centers. 3.Restaurants/Take-out Restaurants, bars, Taverns, indoor Theaters. 4.Banks, drive-in fac. 5. Prof Offices limited Dentists,architects, engineers, planners, lawyers, real estate agents, insurance brokers or similar licensed professional uses. 6.Offices & Office bldgs. Automobile sales, travel trailer & camper sales. 8. Indoor theaters & bowling alleys. 9.Garden centers engaged in the retail sale of plant material, provided that outside storage, sale or display shall not exceed four times the bldg coverage. 10. Shopping centers comprised of the preceding uses.
PLEASE CALL FOR MORE ADDITIONAL INFORMATION RE: ADDITIONAL PERMITTED USES AND CONDIONAL USES.

Features of 898-896 12th Street

MLS® #
22426177
Acres
0.00
Type
Land/Lots
Price
$880,000
Sub-Type
Commercial

Additional Features

Subdivision
None

Exterior

Lot Description
[\"Level\"]

Community Information

Address
898-896 12th Street
Subdivision
None
City
Hammonton
County
Atlantic
State
NJ
Zip Code
08037

Listing Information

Agent Name
Michael H Little
Agent Office
Keller Williams Shore Properties

Get Directions to Property:

Payment Calculator

(718) 987-7900